barra

€ 1.800 Ultima verifica: 08/02/2017

Provincia di Livorno | Comune di Livorno | Zona: Livorno Nord


erredi

Roberto Domenici
Roberto Domenici
Agente Immobiliare

Ti interessa questo immobile?
Chiama subito il numero 0586 1864707,
oppure invia il modulo sottostante!

Il tuo nome (richiesto)

La tua email (richiesto)

Telefono (richiesto)

Indirizzo e semplice descrizione dell'immobile

Accetto l'utilizzo dei miei dati personali secondo la legge della privacy

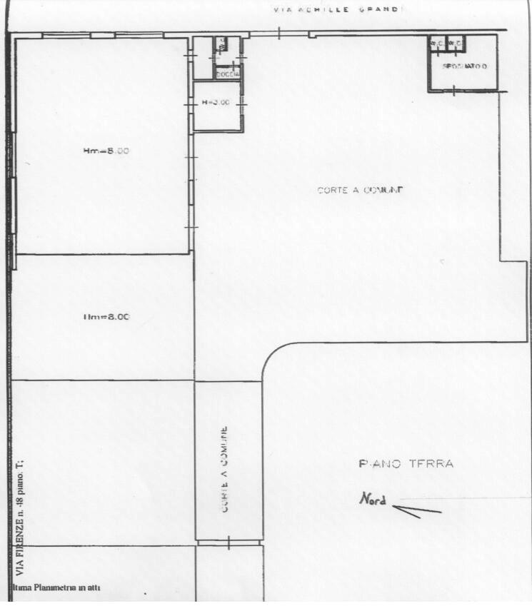
Capannone in locazione | Rif. N. 341/WC

Porzione di capannone con ingresso dalla già Via Aurelia oltre ad altro ingresso ad uso esclusivo da altra via secondaria.
Tipica costruzione degli anni 70 con copertura a volta ed altezza utile di mt 5,50: dotato di doppio acceso di cui uno carrabile e l’altro mediano, ha un piccolo locale ad uso ufficio con ingresso indipendente e accesso al vano capannone.
Completa la proprietà un ampio resede ad uso esclusivo di circa 380 mq.
Vi necessitano alcuni interventi che possono essere concordati con la proprietà.

Genere commerciale Categoria Capannone
Condizioni Lavori da fare Contesto Imm Degradato
Contesto Urbano: Discreto Vetustà 1970
Superficie Lorda 270 Vani:
Sala seleziona Cucina seleziona
Tinello Studio
Totale Camere Cam. Matrimoniali
Totale bagni B. finestre
Ripostiglio Balconi
Verande Terrazze
Giardini 380 Piano TR
Ingresso Taverna
Soffitta Cantina
Garage Posto auto No
Livelli 1 Ascensore
Arredato Stato
Riscaldamento Autonomo Classe Energetica

Indice prestazione
G
60,467 kwh7mq/anno

Se sei un'agenzia iscritta a casa in Livorno fai il login per visualizzare altri dati

CasaInLivorno ©